New Search Family, Subfamily and Tribe List

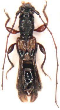
SubFamily Cerambycinae

Tribe Molorchini
Molorchus aureomaculatus Gressitt & Rondon 1970

Specimen Type: holotype
Sex: m
Institution: BPBM Bernice P. Bishop Museum, Honolulu, Hawaii, USA
Photographer: Nobuo Ohbayashi
Collection Location: Phon Tiou, Khammouane Province, Laos
44736


Photographer: Meiying Lin
42709

130425