_Gressitt_Rond_BPBM_Nobuo_Ohbay.jpg)
Specimen Type: holotype Sex: m Institution: BPBM Bernice P. Bishop Museum, Honolulu, Hawaii, USA Photographer: Nobuo Ohbayashi Collection Location: Nong Thevada, Vientiane Province, Laos 43258
|
_CAS.jpg)
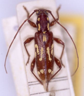
Specimen Type: paratype Institution: CAS California Academy of Sciences, San Francisco, CA, USA Photographer: Larry G. Bezark 34561
|

Institution: BPBM Bernice P. Bishop Museum, Honolulu, Hawaii, USA Photographer: Jim Cope Collection Location: Laos 34562
|
|