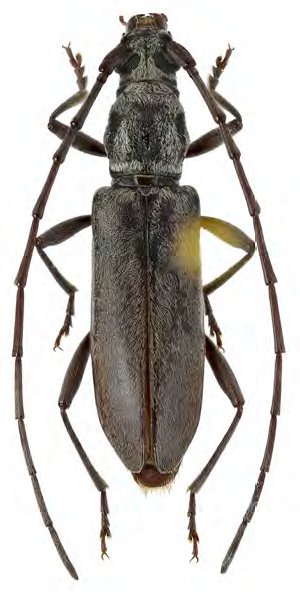
_Gressitt_Rond_BPBM_Nobuo_Ohbay.jpg)
Specimen Type: holotype Sex: m Institution: BPBM Bernice P. Bishop Museum, Honolulu, Hawaii, USA Photographer: Nobuo Ohbayashi Collection Location: Ban Van Heua, near Phou Khao Khoay, Vientiane, Laos 44483
|
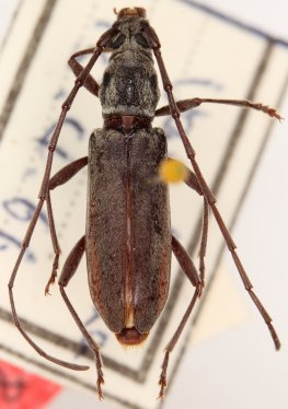
_Gressitt_and_Rondon_Laos_Cope.jpg)
Specimen Type: holotype Sex: m Institution: BPBM Bernice P. Bishop Museum, Honolulu, Hawaii, USA Photographer: Jim Cope Collection Location: Ban Van Heua, near Phou Khao Khoay, Vientiane, Laos 38501
|
 Gress Rond BPBM Ban Van Eue, Vientiane Province, Laos Mirosh pic.jpg)
Sex: f Institution: BPBM Bernice P. Bishop Museum, Honolulu, Hawaii, USA Photographer: Alexandr Miroshnikov Collection Location: Ban Van Heua, Vientiane Province, Laos 90921
|
|