 Gressitt & Rondon BPBM Tha Ngone, km 5, Vientiane Province, Laos Mirosh pic.jpg)
Specimen Type: holotype Sex: f Institution: BPBM Bernice P. Bishop Museum, Honolulu, Hawaii, USA Photographer: Alexandr Miroshnikov Collection Location: Tha Ngone, km 5, Vientiane Province, Laos 90923
|
_Gressitt_Rond_BPBM_Nobuo_Ohbay.jpg)
Specimen Type: holotype Sex: f Institution: BPBM Bernice P. Bishop Museum, Honolulu, Hawaii, USA Photographer: Nobuo Ohbayashi Collection Location: Tha Ngone, km 5, Vientiane Province, Laos 44485
|
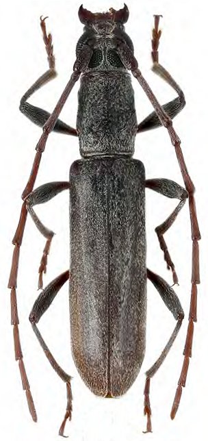
 Gr Rond Mae Tha, Lamphun, N Thailand Mirosh pic.jpg)
Sex: m Photographer: Alexandr Miroshnikov Collection Location: Mae Tha, Lamphun, N Thailand 90924
|
 Gr Rond Mae Tha, Lamphun, N Thailand Mirosh pic.jpg)
Sex: f Photographer: Alexandr Miroshnikov Collection Location: Mae Tha, Lamphun, N Thailand 90925
|
|