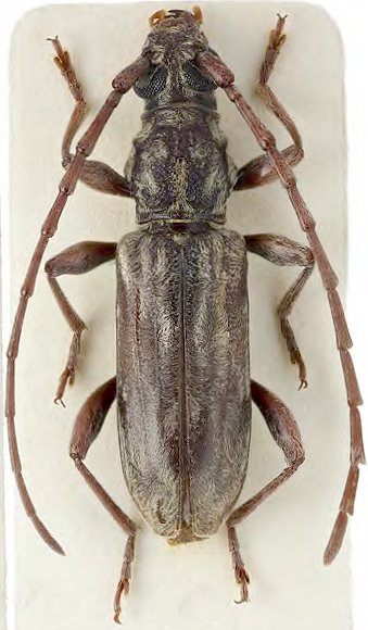
 Gr Rond BPBM Pakkading, Borikhane Province, Laos Mirosh.jpg)
Specimen Type: holotype Sex: m Institution: BPBM Bernice P. Bishop Museum, Honolulu, Hawaii, USA Photographer: Miroshnikov Collection Location: Pakkading, Borikhane Province, Laos 90112
|
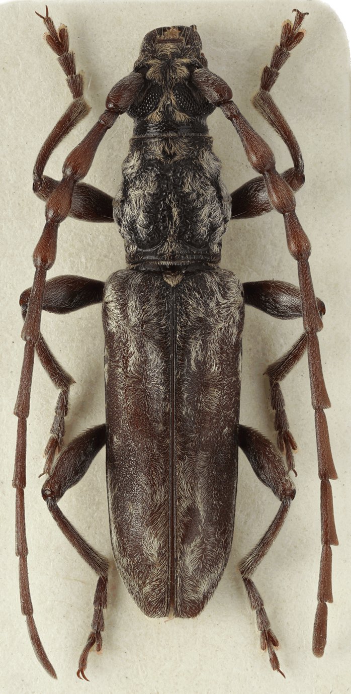
_Gressitt_Rond_BPBM_Nobuo_Ohbay.jpg)
Specimen Type: holotype Sex: m Institution: BPBM Bernice P. Bishop Museum, Honolulu, Hawaii, USA Photographer: Nobuo Ohbayashi Collection Location: Pakkading, Borikhane Province, Laos 44487
|
 Gress Rond BPBM Murong Wapi, Thailand Mirosh pic.jpg)
Specimen Type: paratype Sex: f Institution: BPBM Bernice P. Bishop Museum, Honolulu, Hawaii, USA Photographer: Alexandr Miroshnikov Collection Location: Murong Wapi, Thailand 90926
|

Institution: BPBM Bernice P. Bishop Museum, Honolulu, Hawaii, USA Photographer: Jim Cope Collection Location: Laos 38510
|
|