 Pic BPBM Paklung, Laos Mirosh pic.jpg)
Specimen Type: holotype Sex: m Institution: MNHN Museum of Natural History Paris, France Photographer: Alexandr Miroshnikov Collection Location: Paklung, Laos 52114
|
 Pic BPBM Phon Tiou, Khammouane Province, Laos Mirosh pic.jpg)
Sex: m Institution: BPBM Bernice P. Bishop Museum, Honolulu, Hawaii, USA Photographer: Alexandr Miroshnikov Collection Location: Phon Tiou, Khammouane Province, Laos 90936
|
 Pic BMNH Nongtevada, Vientiane Province, Laos Mirosh pic.jpg)
Sex: f Institution: BMNH British Museum Natural History, London, UK Photographer: Alexandr Miroshnikov Collection Location: Nong Tevada, Vientiane Province, Laos 90937
|
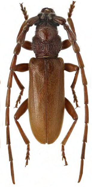
 Pic BPBM Nongtevada, Laos Mirosh pic.jpg)
Sex: m Institution: BPBM Bernice P. Bishop Museum, Honolulu, Hawaii, USA Photographer: Alexandr Miroshnikov Collection Location: Nong Tevada, Vientiane Province, Laos 90938
|
|