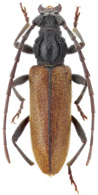
 Pic MNHN Ban Saloueun, Laos now Plavichy Tava pic.jpg)
Margites rufipennis Pic Specimen Type: holotype Sex: m Institution: MNHN Museum of Natural History Paris, France Photographer: Gerard Tavakilian Collection Location: Ban Saloueun, Laos 90954
|
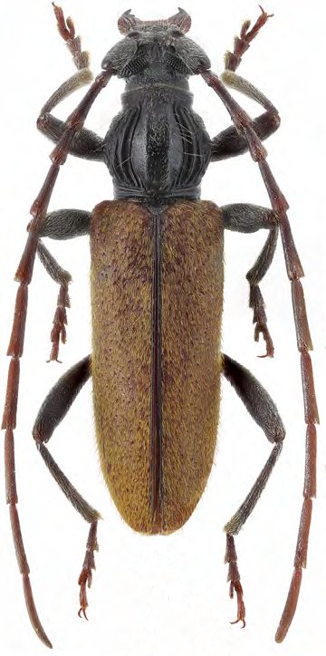
 (Pic) BPBM Pakkading, Borikhane Province, Laos Mirosh pic.jpg)
Sex: m Institution: BPBM Bernice P. Bishop Museum, Honolulu, Hawaii, USA Photographer: Alexandr Miroshnikov Collection Location: Pakkading, Borikhane Province, Laos 90982
|
 (Pic) BPBM Pakkading, Borikhane Province, Laos Mirosh pic.jpg)
Sex: f Institution: BPBM Bernice P. Bishop Museum, Honolulu, Hawaii, USA Photographer: Alexandr Miroshnikov Collection Location: Pakkading, Borikhane Province, Laos 90983
|
_Laos_Cope.jpg)
Institution: BPBM Bernice P. Bishop Museum, Honolulu, Hawaii, USA Photographer: Jim Cope Collection Location: Laos 52113
|
|