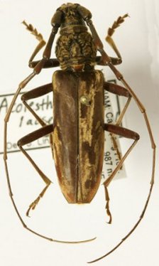
_Gressitt_Rond_BPBM_Nobuo_Ohbay.jpg)
Aeolesthes laosensis Gressitt & Rondon Specimen Type: holotype Sex: f Institution: BPBM Bernice P. Bishop Museum, Honolulu, Hawaii, USA Photographer: Nobuo Ohbayashi Collection Location: Muong Khong, Sithandone Province, Laos 43155
|
_(Gressitt)_Vietnam_Len_Hart_forum.jpg)
Sex: f Photographer: Len Hart, Cerambycoidea Forum Collection Location: Vietnam 66236
|
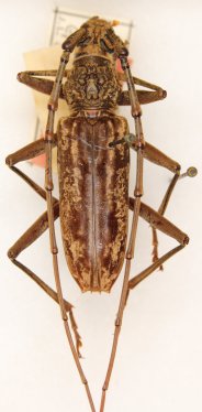
 Gress Rondon Axan, Tay Giang District, Quan Nam Province, Vietnam Jacquot pic.jpg)
Sex: m Institution: Jacquot Collection Photographer: Philippe Jacquot Collection Location: Axan, Tay Giang District, Quan Nam Province, Vietnam 79907
|

Institution: NMNH United States National Museum, Washington, DC, USA Photographer: Steve Lingafelter Collection Location: Phja-Den, Cao Bang Province, Vietnam 37571
|
|