_Gressitt_Rond_BPBM_Nobuo_Ohbay.jpg)
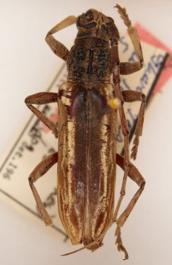
Aeolesthes chrysophanes Gressitt & Rondon Specimen Type: holotype Sex: f Institution: BPBM Bernice P. Bishop Museum, Honolulu, Hawaii, USA Photographer: Nobuo Ohbayashi Collection Location: Baie de Khompong Som, îles des Saracems, SW Cambodia 43154
|
 Gr Rond BPBM Baie de Khompong Som, îles des Saracems, SW Cambodia now Spinyd Mirosk.jpg)
Specimen Type: holotype Sex: f Institution: BPBM Bernice P. Bishop Museum, Honolulu, Hawaii, USA Photographer: Alexandr Miroshnikov Collection Location: Baie de Khompong Som, îles des Saracems, SW Cambodia 79404
|