_Gressitt_Rond_BPBM_Nobuo_Ohbay.jpg)
Specimen Type: holotype Sex: m Institution: BPBM Bernice P. Bishop Museum, Honolulu, Hawaii, USA Photographer: Nobuo Ohbayashi Collection Location: Phon tiou, Khammouane Province, Laos 44910
|
_Gressitt_Rond_BPBM_Nobuo_Ohbay.jpg)
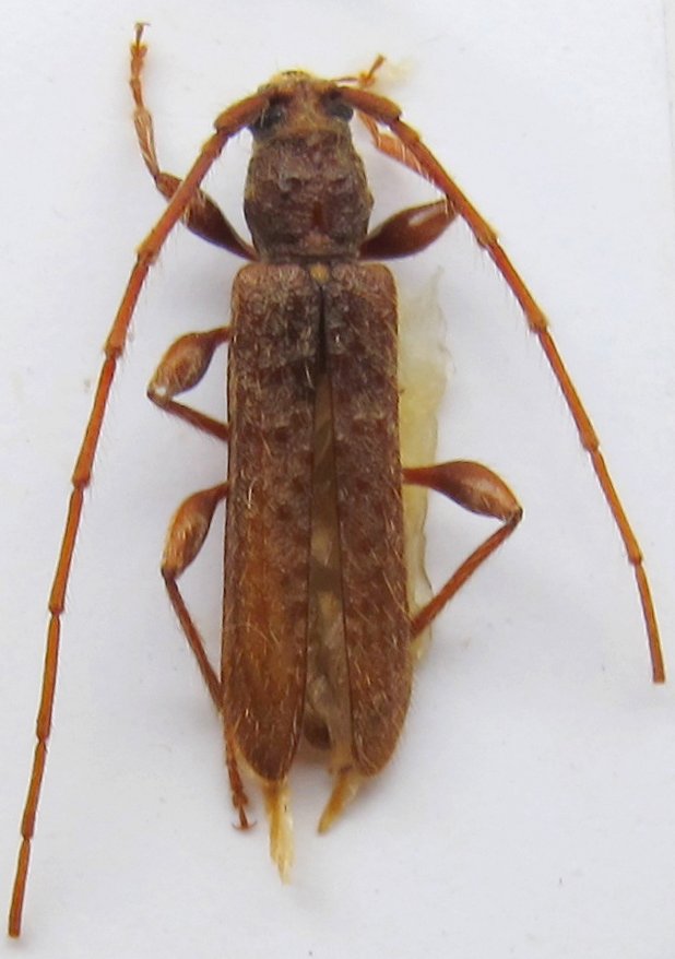
Specimen Type: allotype Sex: f Institution: BPBM Bernice P. Bishop Museum, Honolulu, Hawaii, USA Photographer: Nobuo Ohbayashi Collection Location: Phon tiou, Khammouane Province, Laos 44911
|