_Pic_MNHN_Laos_Elytra_Tokyo.jpg)
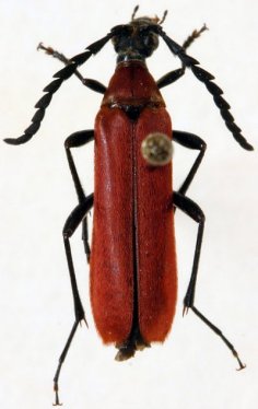
Specimen Type: holotype Sex: m Institution: MNHN Museum of Natural History Paris, France Determiner: Elytra Collection Location: Laos 58966
|

Institution: NMNH United States National Museum, Washington, DC, USA Photographer: Steve Lingafelter Collection Location: Vietnam 38954
|