New Search Family, Subfamily and Tribe List

SubFamily Cerambycinae

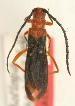
Tribe Psebiini
Bottegia spinipennis Fuchs 1961

Specimen Type: allotype
Sex: f
Institution: NMNH United States National Museum, Washington, DC, USA
Photographer: Steve Lingafelter
Collection Location: Tanzania
34034

130425