 Bates BMNH Cerro Zunil, Quetzaltenango, Guatemala Moure.jpg)
Specimen Type: lectotype Sex: m Institution: BMNH British Museum Natural History, London, UK Photographer: JS Moure Collection Location: Cerro Zunil, Quetzaltenango, Guatemala 11824
|
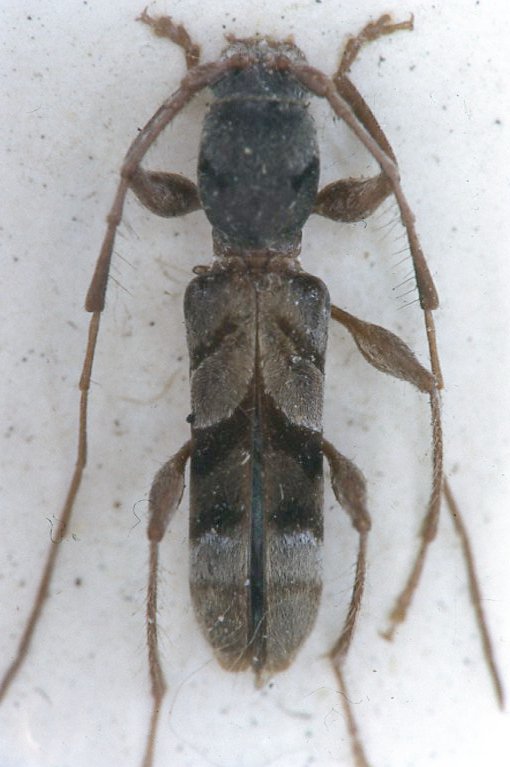
_Bates_BMNH_JAC.jpg)
Specimen Type: lectotype Institution: BMNH British Museum Natural History, London, UK Photographer: John Chemsak 18062
|

Institution: LGBC Larry G. Bezark Collection, Sacramento, California, USA Photographer: Larry G. Bezark Collection Location: Las Alturas, Puntarenas, Costa Rica 37532
|

Institution: BCA Biologia Centrali Americana 11825
|

Institution: EMG Ed Giesbert Collection (now at FSCA) Collection Location: Puntarenas, Costa Rica 11826
|
|