 Bates BMNH Santo Domingo, Chontales, Nicaragua Moure.jpg)
Specimen Type: lectotype Sex: m Institution: BMNH British Museum Natural History, London, UK Photographer: JS Moure Collection Location: Santo Domingo, Chontales, Nicaragua 16081
|
_Bates_BMNH_SantoDomingo_Chontales_Nic_LGB.jpg)
Specimen Type: lectotype Sex: m Institution: BMNH British Museum Natural History, London, UK Photographer: Larry G. Bezark Collection Location: Santo Domingo, Chontales, Nicaragua 46609
|
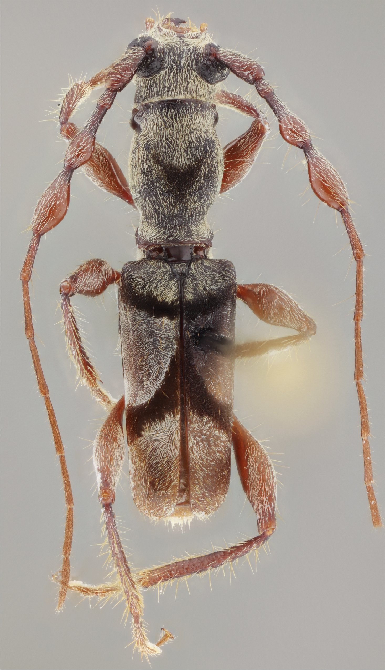
 Bates BMNH Santo Domingo, Chontales, Nicaragua Moure.jpg)
Specimen Type: syntype Sex: f Institution: BMNH British Museum Natural History, London, UK Photographer: JS Moure Collection Location: Santo Domingo, Chontales, Nicaragua 100883
|

Institution: BCA Biologia Centrali Americana 6629
|
 Bates CSCA 30 km E Canita, Panama, Panama SS.jpg)
Sex: m Institution: CSCA California State Collection of Arthropods, Sacramento, California Photographer: Antonio Santos-Silva Collection Location: 30 km E Canita, Panama, Panama 6630
|

Institution: FTH Frank T. Hovore collection (now at California Academy of Sciences) Photographer: Larry G. Bezark 6631
|
|