New Search Family, Subfamily and Tribe List

SubFamily Cerambycinae

Tribe Cerambycini
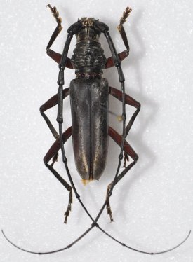
Afrodissus evounai (Haller & Vitali, 2010)

Photographer: Pierre Haller, Cerambycoidea Forum
Collection Location: Cameroon
55306

130425