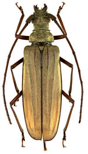
_Komiya_Drumont_coll_Bao_Loc_South_Vietnam_NM.jpg)
Specimen Type: paratype Sex: m Institution: Drumont Collection Photographer: Noel Mal Collection Location: Bao Loc, South Vietnam 69563
|
_Komiya_Drumont_coll_Bao_Loc_South_Vietnam_NM.jpg)
Specimen Type: paratype Sex: f Institution: Drumont Collection Photographer: Noel Mal Collection Location: Bao Loc, South Vietnam 69564
|