_(Pic)_Bao_Loc_S_Vietnam_Drumont_pic.jpg)
Sex: m Photographer: Alain Drumont Collection Location: Bao Loc, S Vietnam 74036
|
_(Pic)_Bao_Loc_S_Vietnam_Drumont_pic.jpg)
Sex: m Photographer: Alain Drumont Collection Location: Bao Loc, S Vietnam 74037
|
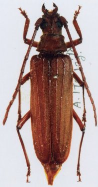
_(Pic)_Bao_Loc_S_Vietnam_Drumont_pic.jpg)
Sex: f Photographer: Alain Drumont Collection Location: Bao Loc, S Vietnam 74038
|
_Lacduong_LamDong_Vietnam_LGB.jpg)
Institution: LGBC Larry G. Bezark Collection, Sacramento, California, USA Photographer: Larry G. Bezark Collection Location: Lacduong, Lam Dong Province, Vietnam 49416
|
_(Pic)_.jpg)
Sex: f 49417
|
_(Pic)_.jpg)
Sex: m 49418
|
|