New Search Family, Subfamily and Tribe List

SubFamily Apatophyseinae

Tribe
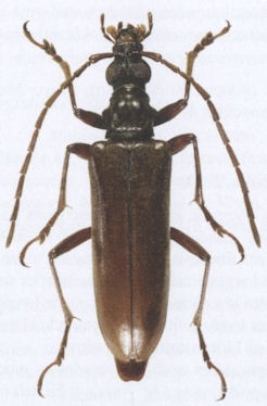
Dysmathosoma lucidus Vives 2004

Specimen Type: holotype
Sex: f
Institution: MNHN Museum of Natural History Paris, France
Determiner: Les Cahiers Magellanes
Collection Location: Ampitameloka, sud Moramanga, Madagascar
38521

130425