New Search Family, Subfamily and Tribe List

SubFamily Apatophyseinae

Tribe
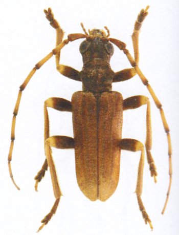
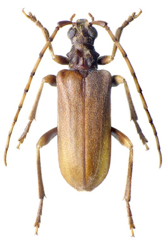
Pachysticus adlbaueri Vives 2004

Specimen Type: holotype
Sex: m
Institution: Vives Collection
Determiner: Les Cahiers Magellanes
Collection Location: Manankazo, Madagascar
55360


Sex: f
Photographer: Ivo Jenis
Collection Location: Manankazo, Ambohitantely, Madagascar
89379


Photographer: Eduard Vives
Collection Location: Madagascar
96843

130425