_Pic_MNHN_Ha-Djiang_Tonkin_Vietnam_now_Trypogeus.jpg)
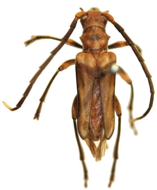
Toxotus superbus Pic Specimen Type: holotype Sex: m Institution: MNHN Museum of Natural History Paris, France Collection Location: Ha-Djiang, Tonkin, Vietnam 66393
|
_Pic_MNHN_Hoa-Binh_Tonkin_Vietnam_now_Trypogeus_superbus.jpg)
Toxotus superbus v innotatus Pic Specimen Type: holotype Sex: f Institution: MNHN Museum of Natural History Paris, France Collection Location: Hoa-Binh, Tonkin, Vietnam 66394
|