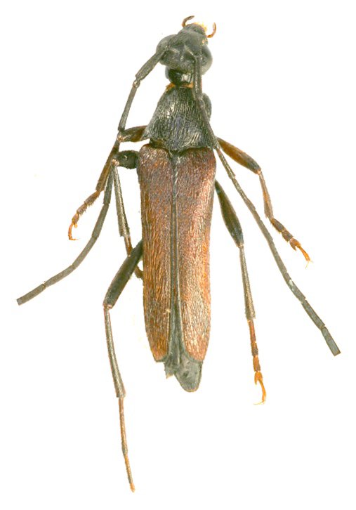
_Holzschuh_CHS_Mt_Phou_Pan_Hua_Phan_prov_Laos.jpg)
Specimen Type: holotype Sex: m Institution: Holzschuh Collection Determiner: Entomologica Basiliensa et Collectionis Frey Collection Location: Mt Phou Pan, Hua Phan Province, NE Laos 56305
|
 (Holz) Lam Thuy, Quang Binh Province, Vietnam Vives pic coll.jpg)
Sex: m Institution: Vives Collection Photographer: Eduard Vives Collection Location: Lam Thuy, Quang Binh Province, Vietnam 96280
|