_Holzschuh_Malaysia_Sabah_Sipitang_Mendolong.jpg)
Dymasius festivus Holzschuh Specimen Type: holotype Sex: f Institution: Holzschuh Collection Determiner: Schrift. Forstlichen Bundesversuchsanstalt Collection Location: Mendolong, Sipitang, Sabah, Borneo 38477
|
_DJH.jpg)
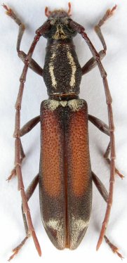
Dymasius festivus Holzschuh Specimen Type: holotype Sex: f Institution: Holzschuh Collection Photographer: Lubo Dembický Collection Location: Mendolong, Sipitang, Sabah, Borneo 38478
|