_Holzschuh_FBVA_107.jpg)
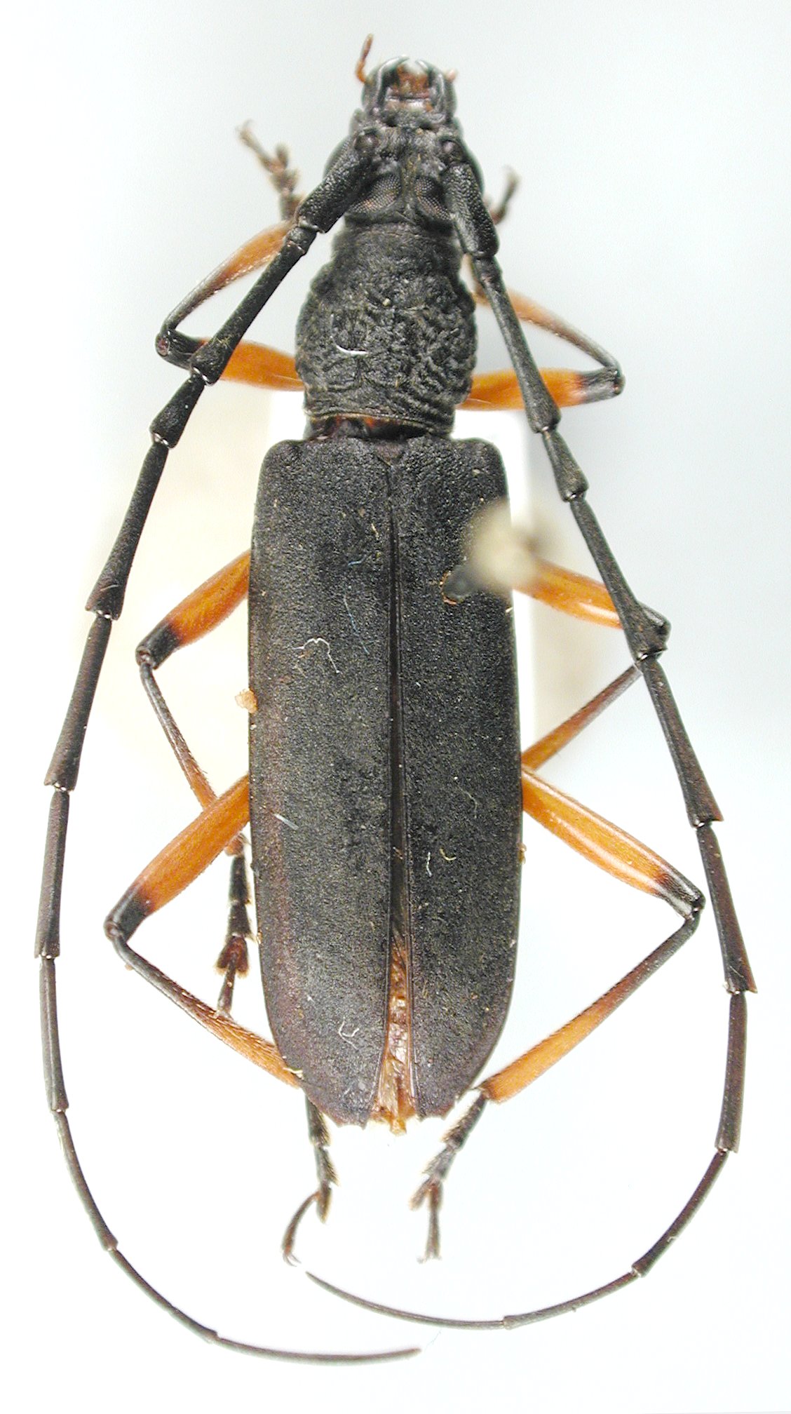
Specimen Type: holotype Sex: m Institution: Holzschuh Collection Determiner: Schrift. Forstlichen Bundesversuchsanstalt Collection Location: 40 km NW of An Khe, Buon, Luoi (14°10'N, 108°30'E), S Vietnam 38473
|

Institution: JCPC Jim Cope Collection, San Jose, California, USA now at CSCA, Sacramento Photographer: Larry G. Bezark Determiner: Jim Cope Collection Location: Atan Mtn, Tay Giang, Quang Nam, Vietnam 98519
|