New Search Family, Subfamily and Tribe List

SubFamily Lamiinae

Tribe Pogonocherini
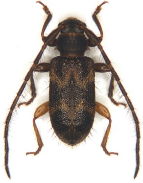
Exocentrus superstes Holzschuh 1995

Specimen Type: holotype
Sex: m
Institution: Holzschuh Collection
Determiner: Schrift. Forstlichen Bundesversuchsanstalt
Collection Location: "Thanon Thong Chai," Palong (19° 55' N, 99° 06' E), Northern Thailand
40863


Photographer: Meiying Lin
42700

130425