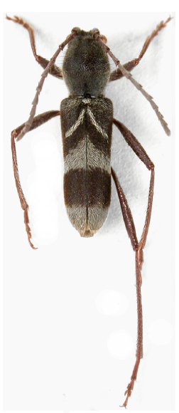
_Holzschuh_coll_Soppong_Pai_Northern_Thailand_Dembicky_pic.jpg)
Specimen Type: holotype Sex: m Institution: Holzschuh Collection Photographer: Lubo Dembický Collection Location: Soppong Pai, Northern Thailand 58967
|
_Holzschuh_FBVA_84.jpg)
Specimen Type: holotype Sex: m Institution: Holzschuh Collection Determiner: Schrift. Forstlichen Bundesversuchsanstalt Collection Location: Soppong Pai, Northern Thailand 38978
|