New Search Family, Subfamily and Tribe List

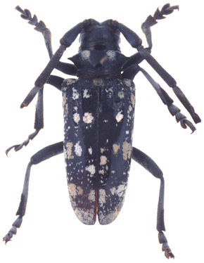
SubFamily Lamiinae

Tribe Lamiini
Anoplophora ogasawaraensis Makihara 1976

Sex: f
Photographer: Steve Lingafelter
31985

130425