_Holzschuh_FBVA_75.jpg)
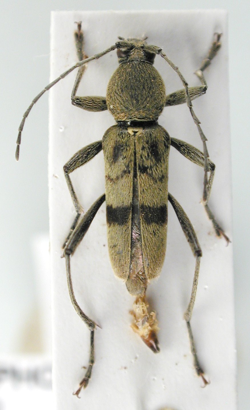
Specimen Type: holotype Sex: m Institution: Holzschuh Collection Determiner: Schrift. Forstlichen Bundesversuchsanstalt Collection Location: Nan, NE Thailand 35143
|

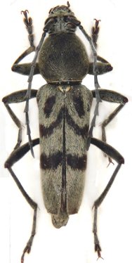
Institution: JCPC Jim Cope Collection, San Jose, California, USA now at CSCA, Sacramento Photographer: Larry G. Bezark Determiner: Carolus Holzschuh Collection Location: Kishuangbanna, 20 km N Jinghong, S Yunnan, China 98433
|