_Holzschuh_FBVA_69.jpg)
Specimen Type: holotype Sex: m Institution: Holzschuh Collection Determiner: Schrift. Forstlichen Bundesversuchsanstalt Collection Location: Tonkin, Vinh Phuc Province, Vietnam 60019
|

Photographer: Pierre Haller, Cerambycoidea Forum Collection Location: Tam Dao, Vinh Phuc Province, Vietnam 60020
|
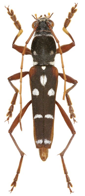
 Holzschuh Vinh Phuc Province, Vietnam Viktora coll.jpg)
Sex: m Institution: Viktora Collection Photographer: Petr Viktora Collection Location: Vinh Phuc Province, Vietnam 77136
|
 Holzschuh Vinh Phuc Province, Vietnam Viktora coll.jpg)
Sex: m Institution: Viktora Collection Photographer: Petr Viktora Collection Location: Vinh Phuc Province, Vietnam 77137
|
|