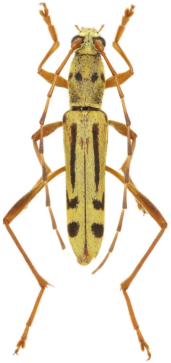
_Holzschuh_FBVA_69.jpg)
Specimen Type: holotype Sex: m Institution: Holzschuh Collection Determiner: Schrift. Forstlichen Bundesversuchsanstalt Collection Location: Tonkin, Vinh Phuc Province, Vietnam 59985
|
_Holzschuh_Tam_Dao_Vinh_Phuc_Prov_Vietnam_Viktora_pic.jpg)
Sex: m Institution: Viktora Collection Photographer: Petr Viktora Collection Location: Tam Dao, Vinh Phuc Province, Vietnam 75080
|