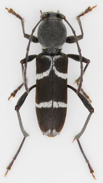
_Holzschuh_FBVA_69.jpg)
Specimen Type: holotype Sex: m Institution: Holzschuh Collection Determiner: Schrift. Forstlichen Bundesversuchsanstalt Collection Location: Sa Pa, Tonkin, Vietnam 35178
|
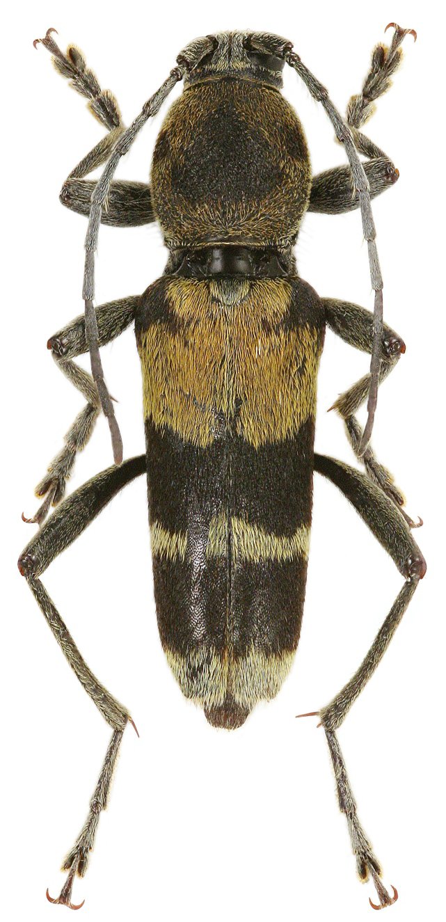
 (Pic) Viktora coll Ha Giang Province, Vietnam.jpg)
Sex: m Institution: Viktora Collection Photographer: Petr Viktora Collection Location: Ha Giang Province, Vietnam 77117
|