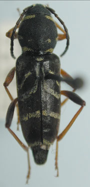
_Horn_MCZ_=_Xylotrechus.jpg)
Clytus nitidus Horn Specimen Type: syntype Institution: MCZ Museum of Comparative Zoology, Harvard University, Cambridge, MA, USA Photographer: P. Naskrecki, P. Perkins, and B. Farrell Collection Location: Comal County, Texas 670
|
_Horn_MCZ_=_Xylotrechus.jpg)
Clytus nitidus Horn Specimen Type: syntype Institution: MCZ Museum of Comparative Zoology, Harvard University, Cambridge, MA, USA Photographer: P. Naskrecki, P. Perkins, and B. Farrell Collection Location: Comal County, Texas 671
|
_Horn_MCZ_=_Xylotrechus.jpg)
Clytus nitidus Horn Specimen Type: syntype Institution: MCZ Museum of Comparative Zoology, Harvard University, Cambridge, MA, USA Photographer: P. Naskrecki, P. Perkins, and B. Farrell Collection Location: Comal County, Texas 672
|
_Horn_MCZ_=_Xylotrechus.jpg)
Clytus nitidus Horn Specimen Type: syntype Institution: MCZ Museum of Comparative Zoology, Harvard University, Cambridge, MA, USA Photographer: P. Naskrecki, P. Perkins, and B. Farrell Collection Location: Comal County, Texas 673
|
_CAS.jpg)
Institution: CAS California Academy of Sciences, San Francisco, CA, USA Photographer: Larry G. Bezark 3328
|
_Det_Chemsak_Balsam_NC_UCB.jpg)
Institution: UCB Essig Museum of Entomology, Berkeley, California, USA Photographer: Larry G. Bezark Determiner: John Chemsak Collection Location: Balsam, North Carolina 3329
|
|