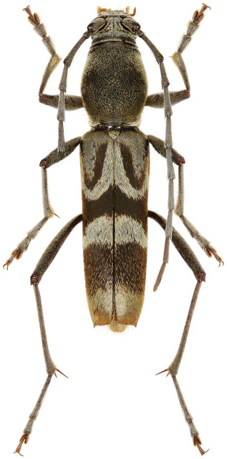
_Holz.jpg)
Specimen Type: holotype Sex: f Institution: Holzschuh Collection Photographer: Lubo Dembický Collection Location: Chiang Rai, Wiang Pa Pao, Northern Thailand 36546
|
_Holzschuh_FBVA.jpg)
Specimen Type: holotype Sex: f Institution: Holzschuh Collection Determiner: Schrift. Forstlichen Bundesversuchsanstalt Collection Location: Chiang Rai, Wiang Pa Pao, Northern Thailand 36547
|