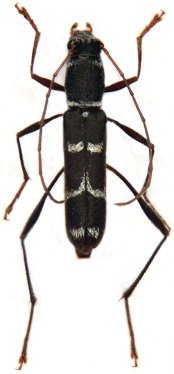
_Holz_N_Thailand.jpg)
Specimen Type: holotype Sex: m Institution: Holzschuh Collection Photographer: Lubo Dembický Collection Location: Chiang Rai, Wiang Pa Po, Thailand 60130
|
_Holzschuh_FBVA.jpg)
Specimen Type: holotype Sex: m Institution: Holzschuh Collection Determiner: Schrift. Forstlichen Bundesversuchsanstalt Collection Location: Chiang Rai, Wiang Pa Po, Thailand 60131
|