_Holzschuh_N_Thailand_Chiang_Mai_Mt_Doi_Pui.jpg)
Specimen Type: holotype Sex: m Institution: Holzschuh Collection Determiner: Schrift. Forstlichen Bundesversuchsanstalt Collection Location: Mt Doi Pui, Chiang Mai, Thailand 35303
|
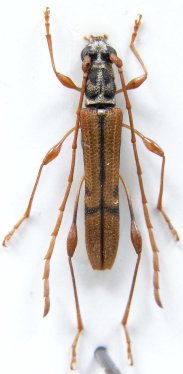
 Holzschuh Doi Pui, Chiang Mai, Thailand JCPC LGBC.jpg)
Specimen Type: paratype Institution: JCPC Jim Cope Collection, San Jose, California, USA now at CSCA, Sacramento Photographer: Larry G. Bezark Collection Location: Doi Pui, Chiang Mai, Thailand 98441
|