_M_and_M_MNRJ_Ariquemes_RO_Brazil.jpg)
Specimen Type: holotype Sex: m Institution: MNRJ Museu Nacional Universidade do Rio Janeiro, Brazil Photographer: Larry G. Bezark Collection Location: Ariquemes, Rondonia, Brazil 33576
|
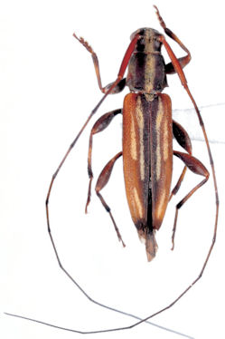
_Monne_and_Monne_MNRJ_Ariquemes_RO_Braz.jpg)
Specimen Type: holotype Sex: m Institution: MNRJ Museu Nacional Universidade do Rio Janeiro, Brazil Collection Location: Ariquemes, Rondonia, Brazil 30676
|