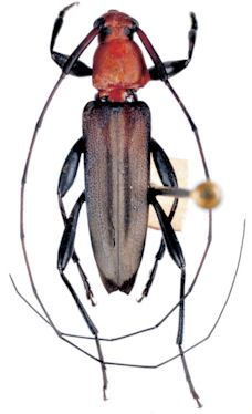
_M_and_M_MNRJ_Ouro_Preto_do_Oeste_RO_Braz.jpg)
Specimen Type: holotype Sex: m Institution: MNRJ Museu Nacional Universidade do Rio Janeiro, Brazil Photographer: Larry G. Bezark Collection Location: Ouro Preto do Oeste, Rondonia, Brazil 33575
|
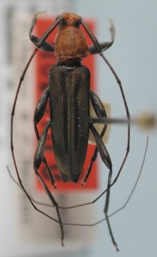
_Monne_and_Monne_MNRJ_Auro_Preto_do_Oeste_RO_Braz.jpg)
Specimen Type: holotype Sex: m Institution: MNRJ Museu Nacional Universidade do Rio Janeiro, Brazil Collection Location: Auro Preto do Oeste, Rondonia, Brazil 30675
|