_Bez_and_SS_and_Martins_INPA_Santarem_PA_Braz.jpg)
Specimen Type: holotype Sex: f Institution: INPA Instituto Nacional de Pesquisas da Amazonia, Manaus, Brazil Photographer: Antonio Santos-Silva Collection Location: Santarem, Para, Brazil 30664
|
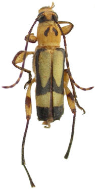
_Bez_and_SS_and_Martins_INPA_Santarem_PA_Braz.jpg)
Specimen Type: holotype Sex: f Institution: INPA Instituto Nacional de Pesquisas da Amazonia, Manaus, Brazil Photographer: Antonio Santos-Silva Collection Location: Santarem, Para, Brazil 30665
|