_Vives_Luzon_IRSNB_Prov_Abra-Kalinga_Philippines.jpg)
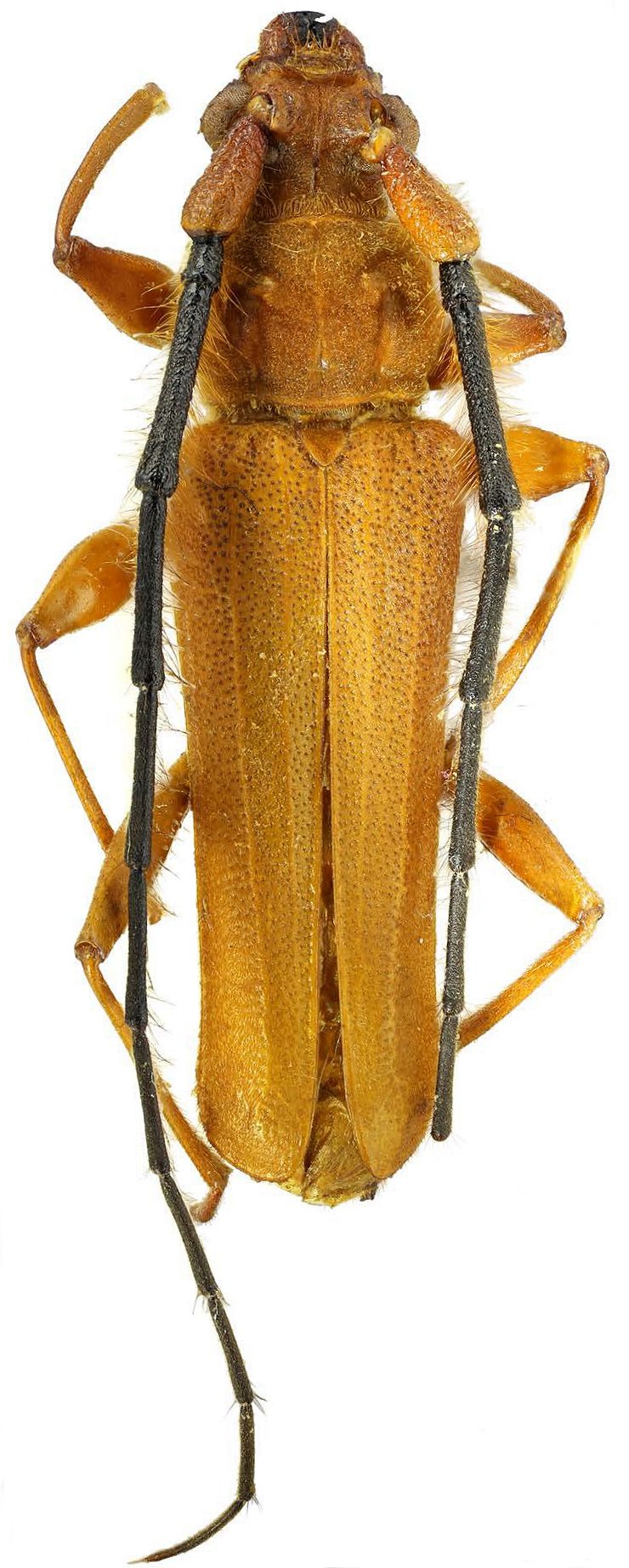
Specimen Type: holotype Sex: f Institution: IRSNB Royal Belgian Institute of Natural Sciences, Brussels, Belgium Determiner: Les Cahiers Collection Location: Abra-Kalinga Province, Luzon, Philippines 51095
|

Sex: m Photographer: Barsevskis Collection Location: Banaue, Ifugao, Luzon, Philippines 68502
|