New Search Family, Subfamily and Tribe List

SubFamily Cerambycinae

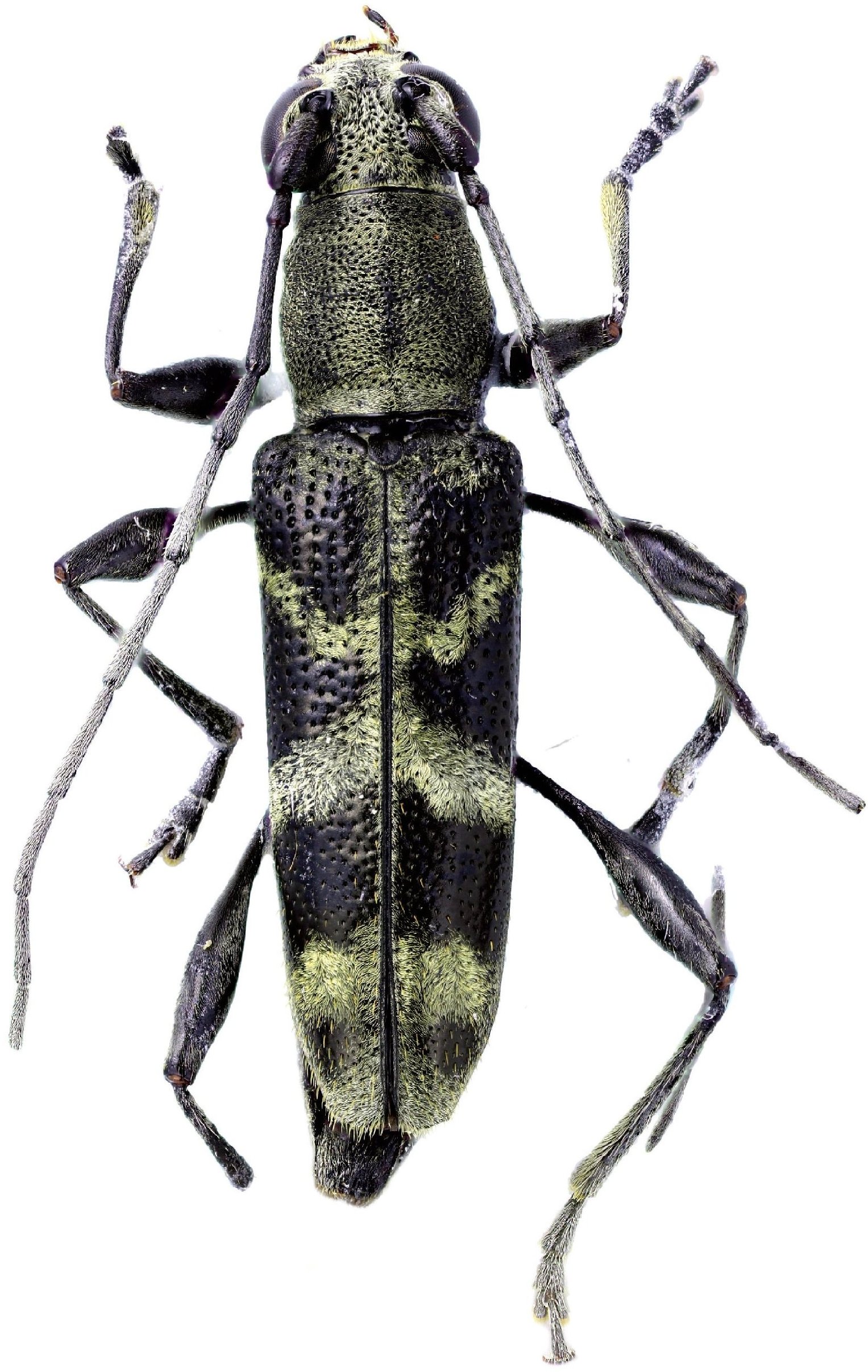
Tribe Glaucytini
Polyphida lumawigi Huedepohl 1992

Institution: DUBC Daugavpils University, Coleopterological Research Center, Latvia
Photographer: Arvids Barsevskis
Collection Location: Sierra Madre, Isabela, Luzon, Philippines
81245

130425