New Search Family, Subfamily and Tribe List

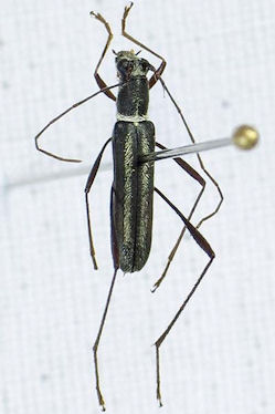
SubFamily Cerambycinae

Tribe Clytini
Psilomerus lumawigi Huedepohl 1992

Photographer: Estan Cabigas
Collection Location: Philippines
58201

130425