_Huedepohl_Hued_coll_Luzon_Mtn_prov_Philippines.jpg)
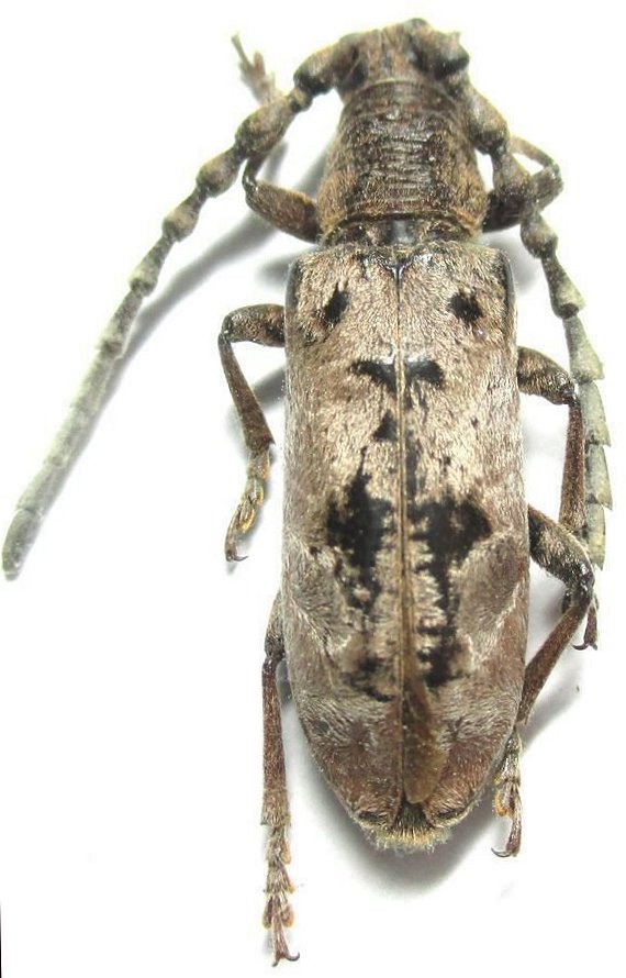
Specimen Type: holotype Sex: f Institution: ZSM Zoologische Staatssammlung, München, Germany Determiner:
Entomofauna Zeitschrift für Entomologie Collection Location: Mountain Province, Luzon, Philippines 66991
|
 ZSM Huedepohl Mountain Province, Luzon, Philippines Mirosh.jpg)
Specimen Type: holotype Sex: f Institution: ZSM Zoologische Staatssammlung, München, Germany Photographer: Alexandr Miroshnikov Collection Location: Mountain Province, Luzon, Philippines 79501
|