New Search Family, Subfamily and Tribe List

SubFamily Cerambycinae

Tribe Cerambycini
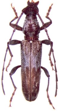
Graciliderolus parvus (Ferreira, 1955)

Sex: m
Determiner: Les Cahiers
Collection Location: Ethiopia
50669

130425