New Search Family, Subfamily and Tribe List

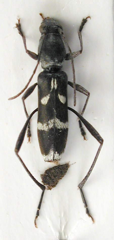
SubFamily Cerambycinae

Tribe Clytini
Demonax persimilis Chevrolat 1863

Institution: JCPC Jim Cope Collection, San Jose, California, USA now at CSCA, Sacramento
Photographer: Larry G. Bezark
Determiner: Dieter Dauber
Collection Location: Nilghiri Hills, 15 km SE Kotagiri, Tamil Nadu, India
98720

130425