_LeConte_MCZ_=_Xylotrechus_colonus_(Fabricius).jpg)
Clytus agrestis LeConte Specimen Type: holotype Institution: MCZ Museum of Comparative Zoology, Harvard University, Cambridge, MA, USA Photographer: P. Naskrecki, P. Perkins, and B. Farrell Collection Location: Georgia 629
|
_LeConte_MCZ_=_Xylotrechus_colonus_(Fabricius).jpg)
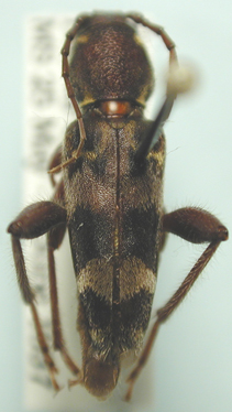
Clytus agrestis LeConte Specimen Type: holotype Institution: MCZ Museum of Comparative Zoology, Harvard University, Cambridge, MA, USA Photographer: P. Naskrecki, P. Perkins, and B. Farrell Collection Location: Georgia 630
|
_LeConte_MCZ_=_Xylotrechus_colonus_(Fabricius).jpg)
Clytus agrestis LeConte Specimen Type: holotype Institution: MCZ Museum of Comparative Zoology, Harvard University, Cambridge, MA, USA Photographer: P. Naskrecki, P. Perkins, and B. Farrell Collection Location: Georgia 632
|
_LeConte_MCZ_=_Xylotrechus_colonus_(Fabricius).jpg)
Clytus agrestis LeConte Specimen Type: holotype Institution: MCZ Museum of Comparative Zoology, Harvard University, Cambridge, MA, USA Photographer: P. Naskrecki, P. Perkins, and B. Farrell 633
|
_FSCA.jpg)
Institution: FSCA Florida State Collection of Arthropods, Gainesville, FL, USA Photographer: Mike Thomas 3308
|
_LGB.jpg)
Photographer: Larry G. Bezark 3309
|
|