New Search Family, Subfamily and Tribe List

SubFamily Cerambycinae

Tribe Clytini
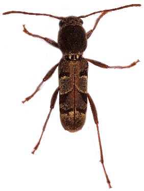
Calanthemis myops Thomson 1864

Photographer: Riana Bate, Cerambycoidea Forum
Collection Location: Port St Johns, East Cape, South Africa
60360

130425