New Search Family, Subfamily and Tribe List

SubFamily Cerambycinae

Tribe Clytini
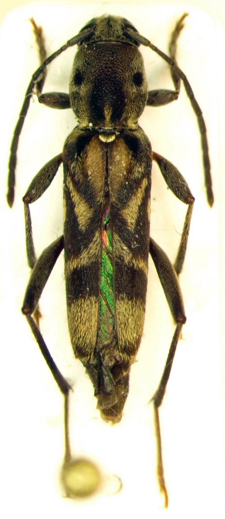
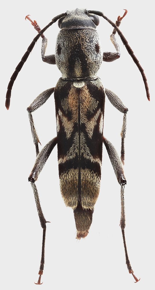
Xylotrechus fragilis Jordan 1903

Photographer: Claudio Deiaco, Cerambycoidea Forum
Collection Location: Gabon
66891


Photographer: Vitali Nagirnyi, Cerambycoidea Forum
Collection Location: Uganda
66892

130425