_Pascoe_Moluccas.jpg)
Specimen Type: syntype Institution: BMNH British Museum Natural History, London, UK Determiner: Trans Ent Soc London Collection Location: Batchian or Moritai, Molucca Islands, 66814
|
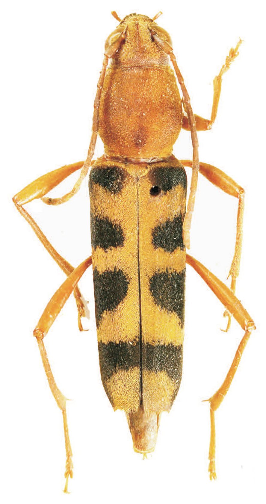
 Pascoe Wayam, Bacan, Molucca Islands Vives coll.jpg)
Sex: f Institution: Vives Collection Photographer: Eduard Vives Collection Location: Wayam, Bacan, Molucca Islands 96955
|