_Jordan_MNHN_Siam_part_of_Laos_XG.jpg)
Specimen Type: holotype Sex: f Institution: MNHN Museum of Natural History Paris, France Photographer: © MNHN, Paris, photographie X. Gouverneur Collection Location: "Siam" Thailand 45592
|
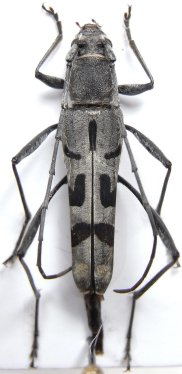
 Pic MNHN Kiou Kan, Laos now Acrocyrt fasc GC.jpg)
Mausaridæus atrofasciatus Pic Specimen Type: holotype © MNHN Sex: m Institution: MNHN Museum of Natural History Paris, France Photographer: Gerard Chemin Collection Location: Kiou Kan, Laos 77187
|