 Podany SNMB Abra de Ilog, Mindoro, Philippines now femorata Hergovits pic.jpg)
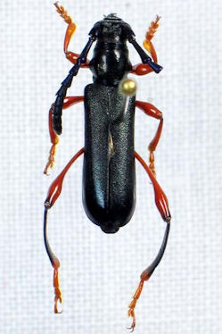
Ipothalia similis Podany Specimen Type: paratype Institution: SNMB Slovaquian National Museum of Bratislava, Slovakia Photographer: Roman Hergovits Collection Location: Abra de Ilog, Mindoro, Philippines 78618
|
 Podany SNMB Abra de Ilog, Mindoro, Philippines now femorata Hergovits pic.jpg)
Ipothalia similis Podany Specimen Type: paratype Institution: SNMB Slovaquian National Museum of Bratislava, Slovakia Photographer: Roman Hergovits Collection Location: Abra de Ilog, Mindoro, Philippines 78619
|