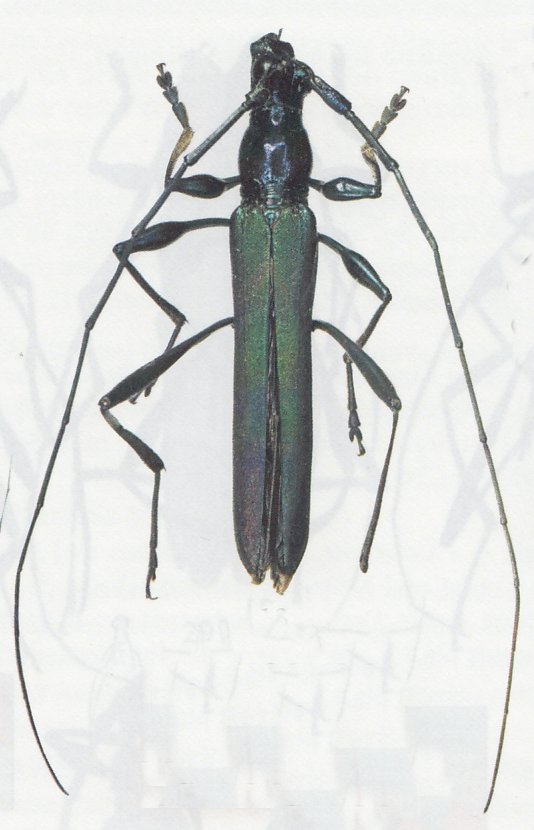
_Jordan_MNHN_Kuilu_RP_Congo_now_Litomeces_Juhel.jpg)
Eulitopus tenuis Jordan Specimen Type: lectotype Sex: m Institution: MNHN Museum of Natural History Paris, France Photographer: Pierre Juhel Collection Location: Kuilu, RP Congo 73912
|
_Hintz_IRSNB_Dibongo_Cameroon_now_tenuis.jpg)
Eulitopus purpureus Hintz Specimen Type: holotype Institution: IRSNB Royal Belgian Institute of Natural Sciences, Brussels, Belgium Determiner: Les Cahiers Magellanes Collection Location: Dibongo, Cameroon 40297
|
_Schmidt_ZHMB_Bismarckburg_Togo_now_Litomeces_ten.jpg)
Eulitopus glabricollis tenuoides Schmidt Specimen Type: syntype Institution: ZMHB Museum für Naturkunde der Humboldt-Universität, Berlin, Germany Photographer: Pierre Juhel Collection Location: Bismarckburg, Togo 73910
|
_Schmidt_ZHMB_Bismarckburg_Togo_now_Litomeces_ten.jpg)
Eulitopus glabricollis tenuoides Schmidt Specimen Type: syntype Institution: ZMHB Museum für Naturkunde der Humboldt-Universität, Berlin, Germany Photographer: Pierre Juhel Collection Location: Bismarckburg, Togo 73911
|
_(Jordan)_Juhel_coll_Kouilou_Loeme_RP_Congo.jpg)
Sex: m Institution: Juhel Collection Photographer: Pierre Juhel Collection Location: Kouilou, Loeme, RP Congo 73940
|
_(Jordan)_Juhel_coll_Kouilou_Loeme_RP_Congo.jpg)
Sex: f Institution: Juhel Collection Photographer: Pierre Juhel Collection Location: Kouilou, Loeme, RP Congo 73941
|
|